How to spend your time in Sepilok

If you are an animal/nature lover, Borneo is a destination that should be top of your list!

Borneo is the third largest island in the world, behind Greenland and New Guinea, located in the Pacific Ocean. It is made up of three different countries, Malaysia in the north, Indonesia in the south and Brunei on the west coast. The Malaysia side is made up of two different states, Sabah and Sarawak. We decided to spend our 8 days exploring what Sabah has to offer. You can get direct flights to Sabah from mainland Malaysia, other parts of Borneo and places in South East Asia.


We got a flight from Kuala Lumpur to Sandakan, were picked up in arrivals and taken to our accommodation Sepilok Forest Edge Resort in Sepilok. The drive was around 30 minutes long. We booked a family chalet which slept three people, had a balcony overlooking the hotel grounds and a private bathroom with bath and shower. Sepilok Forest Edge is a fantastic place to base yourself in Sepilok. The hotel has an on-site restaurant that is completely outside (with a roof), with an extensive menu that had some of the most delicious food I have ever eaten.

Accommodation at Sepilok Forest Edge Resort

The main things to see in Sepilok are:

  • Orangutan rehabilitation centre

  • Bornean Sun Bear conservation centre

  • Rainforest discovery centre.


The day that we arrived we had booked a night walk at the rainforest discovery centre. I would really recommend booking this in advance through their email contact.

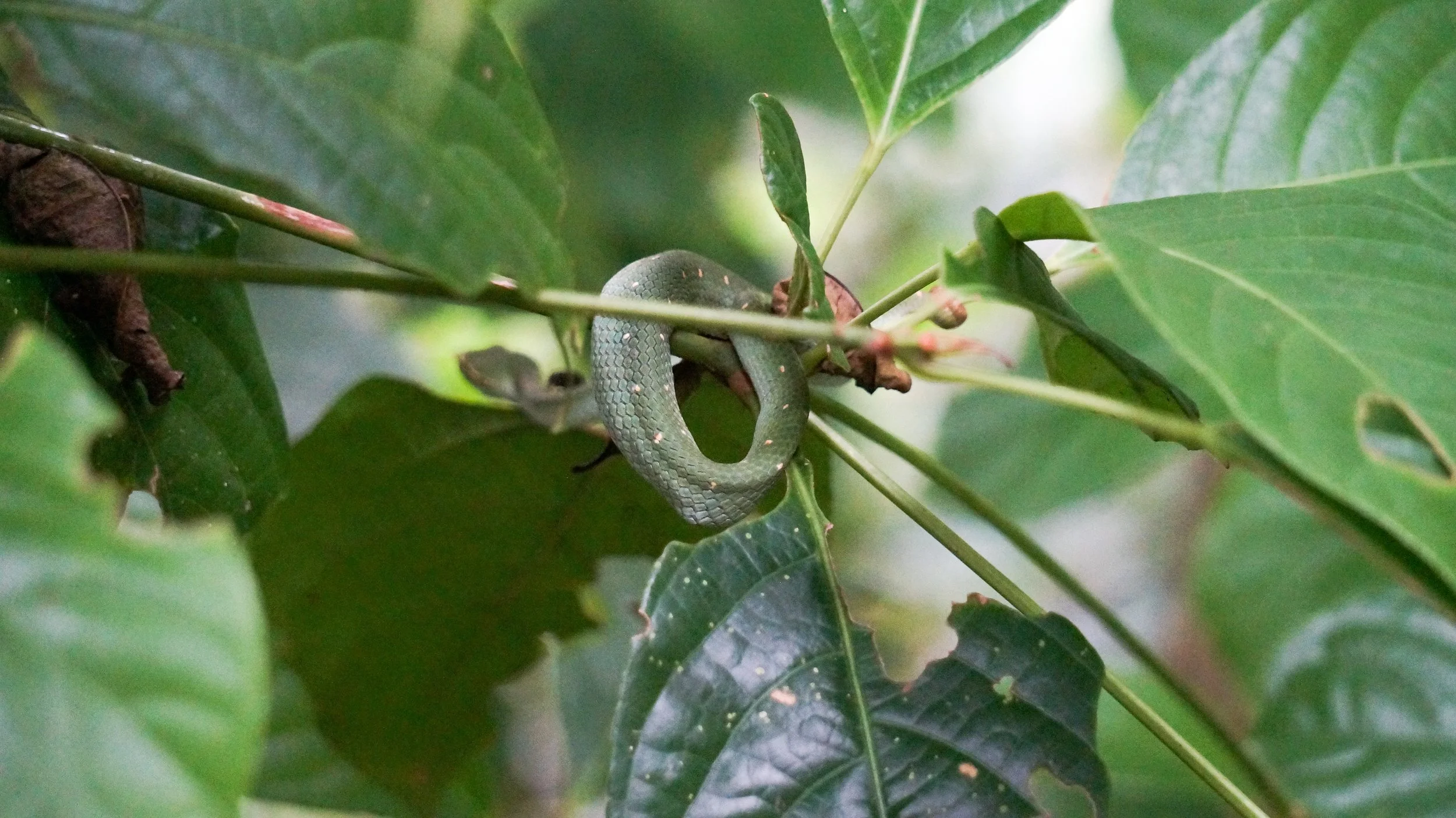
Most of the hotels in the area are within a 10-20 minutes walk to the RDC. The night walk is guided and the guides are able to find a lot of wildlife from the smallest of birds or snakes to the larger mammals. I was amazed at how they were able to find wildlife in the dense dark forest. The night walk is 30RM per adult and 15RM pr child. I really enjoyed the night walk at the Rainforest Discovery Centre and this was one of the highlights of Sepilok for me.


We saw:

  • Kingfisher

  • Red flying squirrel

  • Western tarsier

  • An owl

  • Slow loris

  • Snakes


The next morning we were met at our accommodation by another tour guide who took us to the Orangutan rehabilitation centre. The Orangutan rehabilitation centre looks after and rehabilitates Orangutans that have been orphaned, injured or rescued from palm oil plantations. They rehabilitate the Orangutans to then be released into the wild. Each day at the same time they leave the same food on the feeding platforms in the hopes that they will become bored of the same food each day and will venture further into the wild in search of food and return less often. There is also a nursery where the younger Orangutans are kept to bond and socialise with others. As they get older they are transferred to the semi-wild part of the centre.

We were able to get to the feeding platform 30 minutes before the feed and got a really good position right at the front. We didn’t see many Orangutans, only a few, because in August it’s fruiting season and therefore more fruit for them to eat in the wild. We were able to see quite a few macaques hanging around to get some food aswell. The entrance fee is 30RM and can be used to re enter for both feeds during the day. We spent around 1.5-2 hours here and then walked across the road to the Bornean Sun Bear Conservation Centre.


The BSBCC looks after bears that have been captive as part of the illegal pet trade. They have been rescued and rehabilitated at the BSBCC, however some of them can’t be released back into the wild because they simply wouldn’t survive. It was quite sad to see some of the mental and physical scars that some of the bears still have but nice to see they’re now able to live more normal lives and are given the care they need. We spent about 1-1.5 hours here. Entrance fee is 50RM for an adult and 25RM for under 18’s. 

We spent the rest of the day relaxing back at the resort and left the following morning for the Kinabatangan River.

Previous
Previous

48 Hours in Kuala Lumpur

Next
Next

The Kinabatangan River